ブログ
Blog
宍喰磯のグレ釣り
1月14日(水)徳島県・宍喰中マメ磯へグレ釣り取材に出掛けた。同釣り場で数日前に湧きグレが沢山居り終日入れ食いとなり爆釣していたのでワクワクしながら釣りを開始する。朝方の気温はマイナス2度と冷え込み寒かったが、風も波も無く穏やかで釣り日和だった。

夜明け前にいざ出船

松の下で竿が大きく曲がる
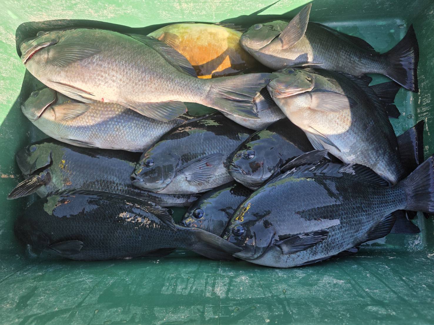
マキエに大きなボラが居たが、数投目にレギュラー【00】が気持ちよく海中に入り竿は大きく曲がる。引きも強く竿を操り何度か糸を出してタモ入れしたのは、37センチの良く肥えたグレだった。連続で当たりがあり先程より強烈で重量があり慎重にやり取りしたものの、根にハリスが触れて切られた。

さらに、連続で豪快な引きに竿の角度を保つため、レバーブレーキで調節しながら、強引に浮かしたのは45センチの大物グレに大満足する。弁当船が来るまでの間に35センチ以上を5匹を掛けたが、1月4日の釣行の魚体と比べると一気に脂が乗り肥えて見応えがあり値打ちも違った。
しかしながら、干潮で底が浅くなりさらに凪で潮は動かず魚の気配もなくサシエが残るようになる。沖向きに遠投してもボラは集まるがサシエは残り、竿1本半でも駄目だった。水温は17度あったものの、僅かに2,3日前から低下したのが影響したかもしれない。
そして向かい風になり仕掛けは手前に押しされ万事休すとなる。幸いにも朝の釣り座はベタ凪からザワザワし、込潮が重なり良さそうな感じが漂った。磯際や近距離なのでウキをSタイプ【ー0】に交換しハリスはザイト1,5号、速手グレ3号ウキ下1,5ヒロからゆっくり沈めて行くといきなりグレがヒットした。
今度は今日一の当たりで底に見えていた大型キツか、大型アイゴかグレの引きでは無かった。でも何とか取り込もうと丁寧なやり取りで浮かしたのは何と尾長グレ41センチで「ヤッター!!」と感動する。

41センチの尾長グレ
最近は遠投狙いが多く向こう合わせも多かったが、本日は全て磯際で狙ってウキに出る当たりを掛け合わしグレ釣りの醍醐味を味わい楽しい釣りだった。

